News

In-N-Out Burger Begins Construction of New Location in Roseburg

R
Ryan Finlay
·1 min read

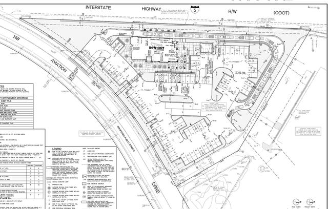
It appears that In-N-Out Burger has begun site preparation work for a new location in Roseburg next to Home Depot at 2844 NW Aviation Drive. The 2-acre parcel was recorded as sold to In-N-Out Burgers two weeks ago and building permits were issued this past Tuesday, Jan 25th. Update: "We are excited to be in the initial stages of construction at our Roseburg location. Once we break ground on a new location, it usually takes us 7-8 months to build a restaurant and open it for business" "Roseburg is a wonderful community and we look forward to opening a restaurant in the city in the not-too-distant future." - Mike Abbate Assistant Vice President, Real Estate and Development for In-N-Out We will continue to update this story as new details become available.

More Stories

Stay informed

Get the latest stories from Roseburg Tracker delivered straight to your inbox.